大阪|泉州|岸和田|沖波止渡し|岸和田一文字渡船

釣果情報
2026.01.18
<p>中谷様 沖の北 タコエギで良型タコ🐙</p>

中谷様 沖の北 タコエギで良型タコ🐙

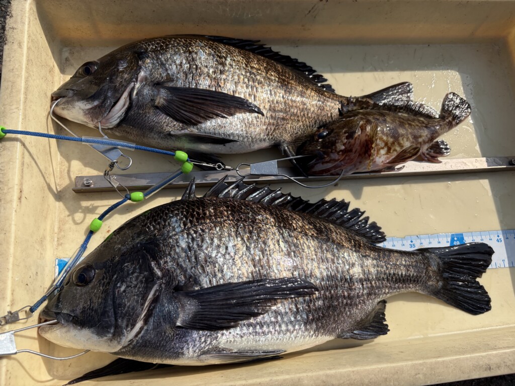
2026.01.18
<p>三谷様 中波止3番 エビ撒き釣りでハネ46.9cm!</p>

三谷様 中波止3番 エビ撒き釣りでハネ46.9cm!

2026.01.17
<p>刃物のカモシタ様🔪 沖の北 ハネ66cm🎣カレイ狙いでの残ったアオイソメを海へ入れるとハネが浮いてきて針をつけた仕掛けを入れるとすぐに食ってきたそうです🎣全体的に潮もかなり透けていて海の中は丸見え状態でした!!サイトで釣れたら楽しいですね✨</p>

刃物のカモシタ様🔪 沖の北 ハネ66cm🎣カレイ狙いでの残ったアオイソメを海へ入れるとハネが浮いてきて針をつけた仕掛けを入れるとすぐに食ってきたそうです🎣全体的に潮もかなり透けていて海の中は丸見え状態でした!!サイトで釣れたら楽しいですね✨

2026.01.17
<p>マスカッツ様 沖の北 投げ釣り カレイ34cmまで4枚🎣タコエギで良型のマダコもGET🐙</p>

マスカッツ様 沖の北 投げ釣り カレイ34cmまで4枚🎣タコエギで良型のマダコもGET🐙

2026.01.17
<p>大木様 沖の北   かぶせ釣り 良型のカンダイ✨</p>

大木様 沖の北   かぶせ釣り 良型のカンダイ✨

2026.01.17
<p>パワプロナイン様 沖の北 投げ釣り カレイ38cmまで4枚🎣</p>

パワプロナイン様 沖の北 投げ釣り カレイ38cmまで4枚🎣

2026.01.17
<p>ハネ研会長 福山様 沖の北 エビ撒き釣りでカンダイ🎣 撮影後リリース🐟</p>

ハネ研会長 福山様 沖の北 エビ撒き釣りでカンダイ🎣 撮影後リリース🐟

2026.01.17
<p>ハネ研会長 福山様 中波止② エビ撒き釣りでハネ2尾🎣 撮影後リリース🐟</p>

ハネ研会長 福山様 中波止② エビ撒き釣りでハネ2尾🎣 撮影後リリース🐟

2026.01.17
<p>鳩山様 中波止3番 エビ撒き釣りでハネ!</p>

鳩山様 中波止3番 エビ撒き釣りでハネ!

2026.01.16
<p>田川様 沖の北 投げ釣り カレイ35.5cm🎣</p>

田川様 沖の北 投げ釣り カレイ35.5cm🎣